昆虫在长期的自然进化中,分化出不同的取食方式,一些昆虫靠取食植物为生,称为植食性昆虫,约占昆虫总数的48%;一些昆虫为肉食性,主要以寄生和捕食的方式生存,约占30%,其中寄生性昆虫占2.4%,捕食性昆虫约占28%,寄生和捕食的大多数对象还是昆虫;还有一些昆虫以粪便、腐烂的植物或动物为食,称为腐食性昆虫,约占17%。
在自然界中,通常将以捕食和寄生方式生存的昆虫称为天敌昆虫,即通过捕食或寄生行为杀死另一类昆虫,降低其繁殖潜力,减少其种群数量。
与人类争夺资源的大多是植食性昆虫,被人类称为害虫。
天敌昆虫:分为捕食性天敌昆虫和寄生性天敌昆虫。常见于蜻蜓目、螳螂目、脉翅目、广翅目、鞘翅目、半翅目、双翅目和膜翅目中的种类。

孟氏隐唇瓢虫Cryptolaemus montrouzieri Mulsant
形态特征:体长3-5mm,体宽2-4mm。头及前胸红黄色,鞘翅黑色而末端红黄色,每一鞘翅上的浅色区前缘弧形突出。因其为粉蚧的重要天敌而引入。
习性:常见于果树及林地。取食各种粉蚧、蚜虫。
分布:台湾,广东;澳大利亚、印度、泰国、西印度群岛、美国、中美洲、欧洲南部、南非等。

七星瓢虫Coccinella septempunctata Linnaeus
形态特征:体长5-7mm,体宽4-6mm。体周缘卵形,体背强烈拱起,无毛。前胸背板黑色,两侧前半部具近方形的淡黄色斑纹。鞘翅鲜红色,具7个黑斑,其中位于小盾片下方的小盾斑为鞘缝分割成每边一半,其余每一鞘翅上各有3个黑斑。小盾斑前侧各具1个灰白色三角形斑。
习性:常见于草地及农地,也见于树林及灌木。取食蚜虫。
分布:中国广泛分布;东南亚、印度、新西兰、北美(引入)。

龟纹瓢虫Propylea japonica (Thunberg)
形态特征:体长3-5mm,体宽2-4mm。体长圆形,背面轻度拱起,表面光滑,不被细毛。前胸背板浅黄色,具1个大黑斑,横向,黑斑的基半部向后收缩。小盾片黑色。鞘翅基色黄色而带有龟纹状黑色斑纹,斑纹常有变异:黑斑扩大相连或黑斑缩小而成独立的斑点,有时甚至黑斑消失。
习性:常见于农田杂草,果园和灌木。取食蚜虫,木虱,棉铃虫卵、幼虫,叶螨等。
分布:中国广泛分布;前苏联、日本、印度。

十斑大瓢虫Megalocaria dilatata (Fabricius)
形态特征:体长9-10mm,体宽8-12mm。体圆形,无毛。体基色为橙黄色至橘黄色。前胸背板两侧近基部各有1个黑斑。小盾片黑色。鞘翅末端上各有5个大小相似的黑斑,黑斑成1,2,2排列。鞘翅外缘有黑色的细边。腹面黄褐色,鞘翅缘折中部内测各有1个黑斑。
习性:取食竹蚜、甘蔗绵蚜及其他蚜虫。
分布:云南、四川、福建、广东、广西;印度、印度尼西亚。

异色瓢虫Harmonia axyridis (Pallas)(图片来自网络)
形态特征:体长5-8mm,体宽3-6mm。体卵圆形,体背强烈拱起,无毛。浅色前胸背板上有M形黑斑,常变化。小盾片橙黄色至黑色。鞘翅上色斑常变化,近末端有1明显的横脊痕,为该种的重要鉴定特征。
习性:常见于草地及农地,也见于树林及灌木。取食蚜虫、介壳虫、木虱等。
分布:中国广泛分布;日本、韩国、俄罗斯、蒙古、越南、法国、北美(引入)。

常见害虫:在农业生产活动中,害虫一般是指对农作物的损害程度达到经济阈值以上的昆虫。常见的农业害虫有蚜虫、粉蚧、木虱、天牛、鳞翅目的幼虫等等,主要危害农田蔬菜、经济果树等。

脊胸天牛Rhytidodera bowringii White(图片来自网络)
形态特征:幼虫乳黄色,被稀疏的褐色毛,腹部第一至第七节背腹面具有隆起的步泡突。蛹长椭圆形,长36–39 mm,乳白色或乳黄色。触角纤细,呈弧状,伸至前后翅芽之间。成虫体长23–36 mm,栗色至栗黑色。前胸背板前后端均具横脊,中间两侧圆出,其上有隆起的纵脊,纵脊间的深沟着生淡黄色绒毛;小盾片似心形,密被金色绒毛,鞘翅基部阔,末端较狭。翅表面密布刻点,基部刻点较粗密,除具灰色短毛外,尚有由金黄色毛组成的长斑纹,排列成纵行。
习性:常见于芒果、腰果和漆树等植物,幼虫钻蛀芒果枝条和树干。
分布:国外分布于缅甸、印度和印度尼西亚等;国内分布于海南、广东、广西、云南、贵州、四川、台湾和福建等省(区)。

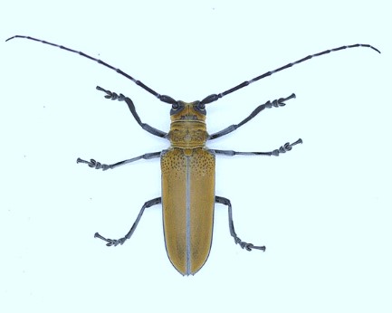
桑天牛Apriona germari (Hope)(图片来自网络)
形态特征:体长26–51 mm。体黑褐色,全体密被绒毛。头部背中央具纵沟,沿复眼后缘有2、3行隆起的刻点。前胸背板前后横沟之间有不规则的横皱或横脊线,中后方两侧、侧刺突基部及前胸侧片均有黑色光亮的隆起刻点。鞘翅基部占全翅1/4—1/3的区域有黑色光亮的瘤状颗粒。
习性:常见于菠萝蜜、柑桔、桑树和柳等多种果树和林木,成虫啃食嫩枝皮层,幼虫钻蛀枝干及根的木质部。
分布:中国、印度、缅甸、越南和日本等国家。

腐食性昆虫:大家所熟知的腐食性昆虫有蝇的幼虫(蛆)、蜣螂(屎壳郎),除此之外还有甲虫中的埋葬甲、隐翅虫、郭公虫等,等翅目中的白蚁等等。

传粉昆虫:无论害虫还是天敌,许多昆虫在自然界中还扮演着一个非常重要的角色——传粉者。地球上约有80%的植物靠昆虫传粉,爱因斯坦曾预言:如果蜜蜂从地球上消失,人类将只能再多存活四年。展示的就是传粉昆虫的重要性。

(图片除标注外,其他均来源于网络)
